Harrell, Burgaw, Pender

$499,000
Burgaw, NC
34.4 acres

Harrell
Burgaw, NC 28425
United States

Active
This listing is provided by Jordan Associates Realty - 910-337-3671.

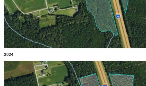
Great opportunity to pick up where the sellers have left off and make this beautiful property your own. Or even bring the whole family along as your neighbors. Seller's life changes allow room for new buyers to make their own dreams come true. Enter this unique and unexpected oasis through the gate and over the new culvert crossing. You will find before you a beautiful view of wooded acreage, mature trees and foliage, cleared borders on the I-40 fence line, several cleared paths through the wooded areas, and all of this in addition to the 1-acre cleared construction site with a small island of trees for shade and relaxation. Half of the work has already been done for you. All permitting progress has been documented through the Pender County inspections department. Building permits have been started and septic and well permits are already in hand. Approximately 23acres of the total 34-acre tract are located at the end of Harrell Road off US-117N with the remaining 11acres located off NC-53E just east of I-40 exit 398. This is a great blank slate for innumerable uses. Now it's your time to make all those plans you've been dreaming about. You have just found the perfect location to make it all happen. Investors and builders are welcome to consider this property for development.

Last updated
April 24, 2026
MLS ID / MOPLS ID
100568957
Address

Harrell
Burgaw, NC 28425

Acreage
34.40
MLS ID / MOPLS ID
100568957
Price
$499,000

Let us help you find your favorite place

Your Local Land Specialist