1135 Berkshire, Fayetteville, Cumberland
1135 Berkshire
Fayetteville, NC 28304
United States

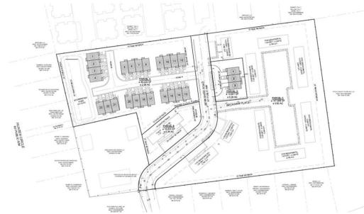
+/- 2.36 Acres ideally located less than one mile from Cape Fear Valley Medical Center & the new Methodist University Cape Fear Valley Health School of Medicine. Located off Owen Drive, near Raeford Road with abundant retail and dining options nearby. This property is situated in the safe and desirable Glendale Subdivision—making it a strong investment opportunity. Zoned MR-5 for multi-family & already has engineering approval by the city for 26 Town-homes. See attached Site Plan and potential Town-House floor plan. Property is Broker Owned.
Listings marked with a Doorify MLS icon are provided courtesy of the Doorify MLS, of North Carolina, Internet Data Exchange Database. Brokers make an effort to deliver accurate information, but buyers should independently verify any information on which they will rely in a transaction. The listing broker shall not be responsible for any typographical errors, misinformation, or misprints, and they shall be held totally harmless from any damages arising from reliance upon this data. This data is provided exclusively for consumers’ personal, non-commercial use. Copyright 2026 Doorify MLS of North Carolina. All rights reserved.