780 Campbell, Vanceboro, Craven

$250,000
Vanceboro, NC
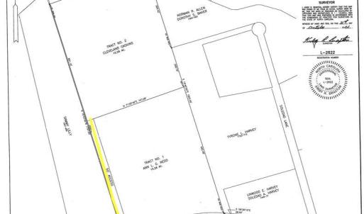
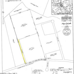
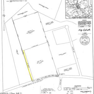
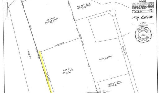
15.3 acres

780 Campbell
Vanceboro, NC 28586
United States

Active
This listing is provided by Keller Williams Realty - 252-637-2010.

Tucked just outside of Vanceboro, this beautiful 15.28-acre wooded property offers the perfect setting to create the lifestyle you've been dreaming of. Accessed by a 50-foot deeded easement, this land provides privacy and seclusion while keeping you connected to nearby conveniences. Picture winding driveways shaded by tall hardwoods and pines, mornings spent sipping coffee on your porch while listening to the sounds of nature, and evenings where the only lights are the stars overhead. With no designated wetlands or flood zone, this land is ready for your vision of country living at its best. With room to spread out, the possibilities are endless! Build your dream home tucked among the trees, create a big garden, or set up outdoor spaces perfect for bonfires, backyard games, or weekend cookouts. There's space for pets to roam, kids to play, and plenty of land to bring your ideas to life—whether you've always wanted a hobby farm, your own walking trails, or just a private retreat to enjoy. Just minutes from Vanceboro and close to the Neuse River and Neuse River Basin, this land combines convenience with the tranquility of wide-open space. With no restrictions, you'll have the freedom to design a property that truly reflects your lifestyle.

Last updated
October 23, 2025
MLS ID / MOPLS ID
100533024
Address

780 Campbell
Vanceboro, NC 28586

Acreage
15.28
MLS ID / MOPLS ID
100533024
Price
$250,000

Let us help you find your favorite place

Your Local Land Specialist