13009 LAKE ANNA VILLAGE DR, SPOTSYLVANIA, Spotsylvania

$599,900
SPOTSYLVANIA, VA
23.5 acres

13009 LAKE ANNA VILLAGE DR
SPOTSYLVANIA, VA 22551
United States

Active
This listing is provided by Samson Properties.

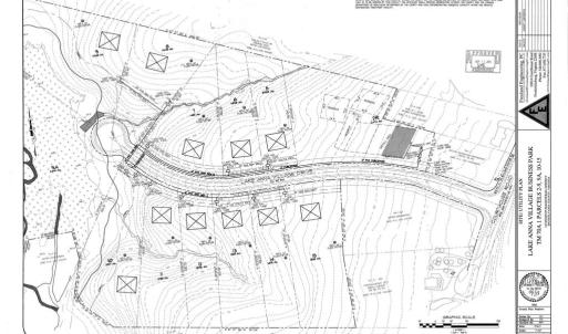
Incredible opportunity to take advantage of a tremendous investment development potential with a combined lot total of 23.45 acres in 13 lots that are already subdivided and zoned Resort Commercial. This package of 13 lots is ready for your development planning ideas for well and septic. Also, there is an expired site utility plan on file with the county for wastewater treatment that was previously approved that you could investigate. This wooded area with a dirt road access is waiting for you to develop it into commercial business locations to serve the nearby hotels, resorts, restaurants, marinas, parks and other developing businesses in this fast growing area just off Courthouse Rd. See the map picture for the location of Douglas Creek on the backside of the two rearmost lots.

Last updated
February 23, 2026
MLS ID / MOPLS ID
78758
Address

13009 LAKE ANNA VILLAGE DR
SPOTSYLVANIA, VA 22551

Acreage
23.45
MLS ID / MOPLS ID
78758
Price
$599,900

Let us help you find your favorite place

Your Local Land Specialist