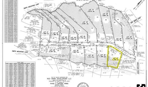
Lot 27 PLYBON LN, Wirtz, Franklin

$69,000
Wirtz, VA
1.4 acres

Lot 27 PLYBON LN
Wirtz, VA 24184
United States

Active
This listing is provided by ML REALTY BROKERED BY MAGNOLIA MOUNTAIN REALTY LLC.

Beautiful 1.37 acre water access lot at Smith Mountain Lake. Located in the Lakeside Farms community on the Blackwater River in Wirtz, Franklin County. POA dues are $660 per year which includes use of the covered community day slips at the spacious waterfront entertaining area, sandy beach, and firepit. Paved roads and underground utilities. 10 minutes to the Kroger in Westlake Towne Center and many conveniences including a variety of shopping, restaurants, and a movie theater. Short-term rentals are allowed with approval of a Special Use Permit from Franklin County. Perfect for your new build. This is an off-water, interior lot, with access to Smith Mountain Lake. Manufactured (mobile) homes are not allowed. Buyer to install well, septic, and electric.

Last updated
October 20, 2025
MLS ID / MOPLS ID
918648
Address

Lot 27 PLYBON LN
Wirtz, VA 24184

Acreage
1.37
MLS ID / MOPLS ID
918648
Price
$69,000

Let us help you find your favorite place

Your Local Land Specialist