
10A Main Street, Waverly, Sussex
10A Main Street
Waverly, Virginia 23890
United States
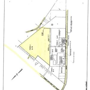
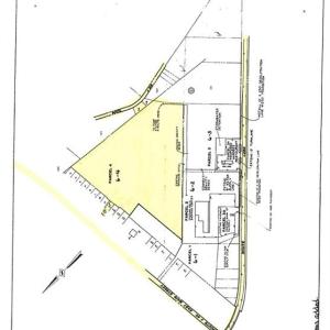
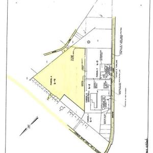
Three parcels listed jointly. Largest parcel is approximately 23.01 acres +/-, zoned R-4 Residential. Lot 10A (.38 acre +/-) is on East Main Street and is possible access to main parcel. Parcel 28A8-6-4a (.15 acre +/-) is on Rt 606 (also known as Beaver Dam Rd) and is possible access to larger parcel. Good development potential.

© (2025) REIN Inc. Information Deemed Reliable but Not Guaranteed
The listings data displayed on this medium comes in part from the Real Estate Information Network Inc. (REIN) and has been authorized by participating listing Broker Members of REIN for display. REIN's listings are based upon Data submitted by its Broker Members, and REIN therefore makes no representation or warranty regarding the accuracy of the Data. All users of REIN's listings database
should confirm the accuracy of the listing information directly with the listing agent.
© (2025) REIN Inc. REIN's listings Data and information is protected under federal copyright laws. Federal law prohibits, among other acts, the unauthorized copying or alteration of, or preparation of derivative works from, all or any part of copyrighted materials, including certain compilations of Data and information. COPYRIGHT VIOLATORS MAY BE SUBJECT TO SEVERE FINES AND PENALTIES UNDER FEDERAL LAW.
REIN updates its listings on a daily basis.