5580 Godwin Boulevard, Suffolk, Suffolk

$150,000
Suffolk, Virginia
0.8 acres

5580 Godwin Boulevard
Suffolk, Virginia 23434
United States

Active
This listing is provided by Wainwright Real Estate.

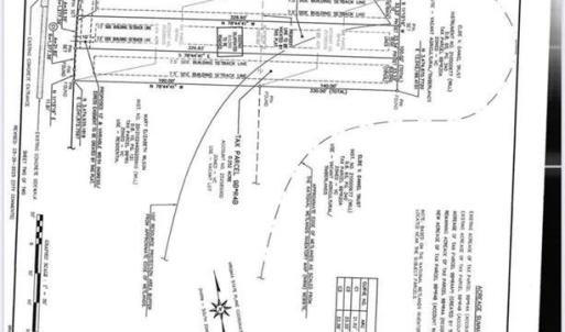
Three Buildable Lots totaling .75 Acres (approx .25AC each), very close to downtown Suffolk, route 58, and Northern Suffolk. New construction homes are being built and sold in days within sight of these lots. Plat/Survey included in photos. There is an old, dilapidated home (built in 1754) at the middle of 2 properties that must be removed. There is no evidence of sewer/septic ever being connected to it. Seller has an existing transferrable permit for its demolition. Buyer to demolish. Selling the properties together, "AS-IS". Land is dry and well drained. City water is at the lot line, on same side of the road. Lots are wooded, but trees are mostly small weed trees & shrubs that will clear easily. The lots are dry, level, accessible, and ready to build on.

REIN logo

© (2025) REIN Inc. Information Deemed Reliable but Not Guaranteed
The listings data displayed on this medium comes in part from the Real Estate Information Network Inc. (REIN) and has been authorized by participating listing Broker Members of REIN for display. REIN's listings are based upon Data submitted by its Broker Members, and REIN therefore makes no representation or warranty regarding the accuracy of the Data. All users of REIN's listings database
should confirm the accuracy of the listing information directly with the listing agent.
 
© (2025) REIN Inc. REIN's listings Data and information is protected under federal copyright laws. Federal law prohibits, among other acts, the unauthorized copying or alteration of, or preparation of derivative works from, all or any part of copyrighted materials, including certain compilations of Data and information. COPYRIGHT VIOLATORS MAY BE SUBJECT TO SEVERE FINES AND PENALTIES UNDER FEDERAL LAW.
 
REIN updates its listings on a daily basis.

Last updated
September 15, 2025
MLS ID / MOPLS ID
10600776
Address

5580 Godwin Boulevard
Suffolk, Virginia 23434

Acreage
0.75
MLS ID / MOPLS ID
10600776
Price
$150,000

Let us help you find your favorite place

Your Local Land Specialist