416 Centerville Turnpike, Chesapeake, Chesapeake

$279,500
Chesapeake, Virginia
7.7 acres

416 Centerville Turnpike
Chesapeake, Virginia 23320
United States

Active
This listing is provided by Cottage Street Realty LLC.

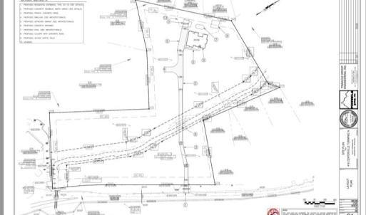
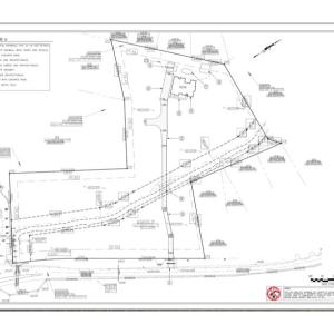
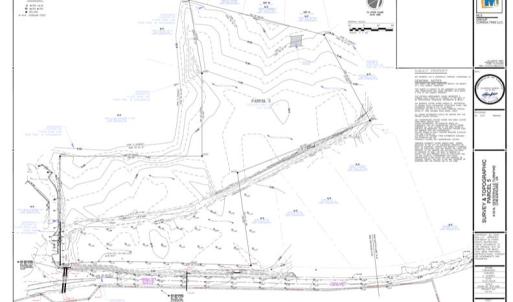
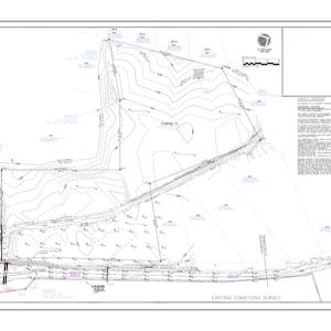
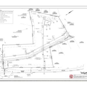
Unique opportunity to build on wooded acreage , but close to the city. Lot is 7 acres, primarily wooded. It is primarily wetlands but has an "Uplands Area" in the rear that can be built on. A lot of legwork has already been done so your questions can be answered. Site plan has been designed and submitted to City of Chesapeake w comments being addressed. Application for wetlands also has begun. Its very likely a new Single Family build can be done, some wetlands disturbance likely required. City water is out at Centerviile, sewer also but likely more feasible to utilize private septic system. Feedback received on septic, wetlands, etc -take advavge of this opportunity before its too late.

REIN logo

© (2026) REIN Inc. Information Deemed Reliable but Not Guaranteed
The listings data displayed on this medium comes in part from the Real Estate Information Network Inc. (REIN) and has been authorized by participating listing Broker Members of REIN for display. REIN's listings are based upon Data submitted by its Broker Members, and REIN therefore makes no representation or warranty regarding the accuracy of the Data. All users of REIN's listings database
should confirm the accuracy of the listing information directly with the listing agent.
 
© (2026) REIN Inc. REIN's listings Data and information is protected under federal copyright laws. Federal law prohibits, among other acts, the unauthorized copying or alteration of, or preparation of derivative works from, all or any part of copyrighted materials, including certain compilations of Data and information. COPYRIGHT VIOLATORS MAY BE SUBJECT TO SEVERE FINES AND PENALTIES UNDER FEDERAL LAW.
 
REIN updates its listings on a daily basis.

Last updated
November 1, 2025
MLS ID / MOPLS ID
10607129
Address

416 Centerville Turnpike
Chesapeake, Virginia 23320

Acreage
7.69
MLS ID / MOPLS ID
10607129
Price
$279,500

Let us help you find your favorite place

Your Local Land Specialist