Lot A AIRPORT DR, MELFA, Accomack

$75,000
MELFA, VA
5.0 acres

Lot A AIRPORT DR
MELFA, VA 23410
United States

Active
This listing is provided by LEWIN & CARR INC..

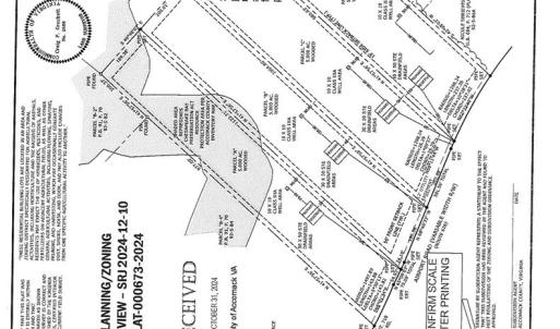
Nicely wooded 5 acre lot located in a small 4 lot subdivision. High land, perks for a standard septic system, surveyed an ready to build ! Restrictions consists of no mobile homes, no junk cars and no wire fencing. Just minutes from the town of Onancock, shopping, movies, restaurants and local boat ramps.

Last updated
December 2, 2025
MLS ID / MOPLS ID
64493
Address

Lot A AIRPORT DR
MELFA, VA 23410

Acreage
5.00
MLS ID / MOPLS ID
64493
Price
$75,000

Let us help you find your favorite place

Your Local Land Specialist