2383#1 MAIN ST, CHINCOTEAGUE, Accomack

$1,574,990
CHINCOTEAGUE, VA
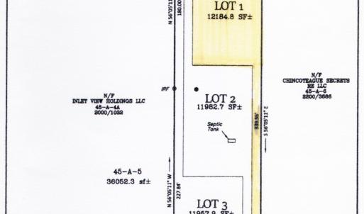
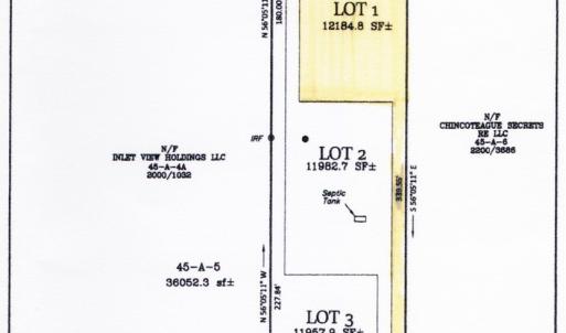
12,258.0 acres

2383#1 MAIN ST
CHINCOTEAGUE, VA 23336
United States

Active
This listing is provided by DOCKSIDE PROPERTIES.

Waterfront, 3714 square foot home with an elevator, a conditioned garage, a metal roof, and a total living space of 3239 square feet. Three-zone HVAC. The property includes a shared pier, private boat slip, and 900 sqft of waterfront boardwalk and sundeck. The first-floor rear 24' x 10' porch will be built with composite decking. The second and third-floor rear 46' x 10' porch will be covered with DuraDeck. Over 1,000 square feet of decks on three floors and a 10' x 16' concrete patio at the rear of the garage. The buyer will own one-third of the pier and a private boat slip with power and water, ready for a boat lift. Your parcel of land to the pier will include a fire pit installed in concrete. Other room 1 is the first-floor office. The other room, 2, is the second-floor Sitting Room.

Last updated
August 3, 2025
MLS ID / MOPLS ID
64491
Address

2383#1 MAIN ST
CHINCOTEAGUE, VA 23336

Acreage
12258.00
Bedrooms
3
Bathrooms
4
MLS ID / MOPLS ID
64491
Price
$1,574,990

Let us help you find your favorite place

Your Local Land Specialist