BROAD ST, GUM SPRING, Louisa

$1,280,000
GUM SPRING, VA
54.1 acres

BROAD ST
GUM SPRING, VA
United States

Active
This listing is provided by BrightMLS Office.

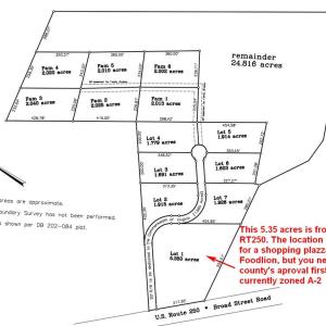
wo parcels in Gum Spring area for sale. Louisa County Parcel ID 100 82, 17.71 acres, fronting Route 250, Parcel ID 100 80, 36.38 acres. Total 54.09 acres. You don't see this high quality land coming to the market often. Parcel 100-82 has 7 division rights, Parcel 100-80 can do family divisions. Included is the subdivision plat that was worked with the county for 6 month and got the conceptual approval. This land is in Louisa county Gum Spring designated Growth Area. Conveniently located between Charlottesville and Richmond, ideal for couples who need to commute to both cities, and usually double income families can afford luxury houses. The land has mature woods with gentle hills, very rare for east of Charlottesville. This topology is ideal for interesting luxury houses. Some of the illustrations and presentation describe the potential development of these two parcels, but not the facts yet. Please do you own DD and verify with the county with the facts and plans you may have. Seeing the land is at 100% potential buyer's own risk, such as, but not limited to, fallen trees and bear presence, etc.

Last updated
January 9, 2026
MLS ID / MOPLS ID
88026
Address

BROAD ST
GUM SPRING, VA

Acreage
54.09
MLS ID / MOPLS ID
88026
Price
$1,280,000

Let us help you find your favorite place

Your Local Land Specialist