1418 HAMPTON ST, CHARLOTTESVILLE, Charlottesville

$150,000
CHARLOTTESVILLE, VA
0.1 acres

1418 HAMPTON ST
CHARLOTTESVILLE, VA 22902
United States

Active
This listing is provided by EXP REALTY LLC - STAFFORD.

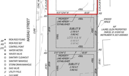
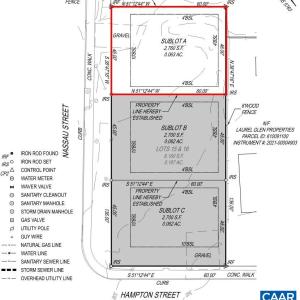
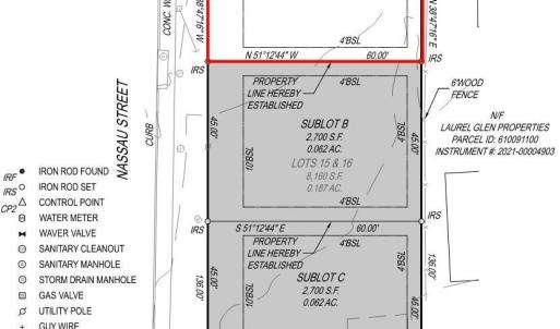
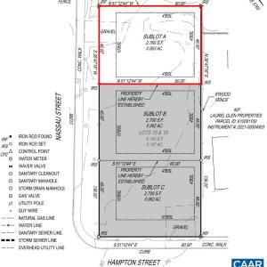
LOT A - 1 of 3 Building Lots available to purchase side-by-side in the desirable Belmont neighborhood of Charlottesville. Zoned R-A. Already subdivided with approved and recorded survey, this offering comes with full architectural building plans including MEP and renderings by Wassenaar Winkler Architects at no extra charge. Lots A & C have existing water/sewer taps in place. Lots have been cleared, silt fence is up, and access gravel driveways installed. Business LLC may also transfer to new owner. Proposed SFH plans and applications have been submitted under business name to city and are awaiting approval to begin building. Lot A totals 2,760 SF/0.063 acre, with frontage on Nassau St. Lot B totals 2,700 SF/0.062 acre with frontage on Nassau St. Lot C is located on the corner totaling 2,700 SF/0.062 acre with frontage on Nassau St and Hampton St. Proximity to major thoroughfares, retail, employers, education, and more, being only minutes from I-64, Wegmans, and Piedmont Virginia Community College. This is an incredible opportunity for a builder, investor, or developer to take over the reigns, build 3 homes, and get them resold with the fastest possible turnaround. ~See Drone tour~ Inquire today!

Last updated
October 24, 2025
MLS ID / MOPLS ID
665973
Address

1418 HAMPTON ST
CHARLOTTESVILLE, VA 22902

Acreage
0.06
MLS ID / MOPLS ID
665973
Price
$150,000

Let us help you find your favorite place

Your Local Land Specialist