TBD EARHART LN, VERONA, Augusta

$91,900
VERONA, VA
3.2 acres

TBD EARHART LN
VERONA, VA 24482
United States

Active
This listing is provided by MCCLURE REALTY COMPANY.

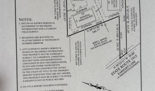
Build Your Dream Home or business in the Heart of Verona! Discover the perfect balance of privacy and convenience with this 3.19-acre building lot on Earhart Lane. Ideally located in Verona, Virginia, this property offers a rare opportunity to design your dream home in, partially wooded setting, while still being close to everything you need. This versatile parcel features a mix of open and wooded acreage, giving you the best of both worlds: open space for building, gardening, or recreation, along with mature trees. With valuable road frontage, access couldn’t be easier. Much of the groundwork has already been done for you! A conventional septic system has been approved, and a recent survey has marked the property corners. The plat includes a detailed depiction of where the house, drain-field, and well should be located, making it simple to envision your future home. All that’s left is to pull your well and septic permits, and you’re ready to begin building. Come take a look!

Last updated
September 16, 2025
MLS ID / MOPLS ID
664398
Address

TBD EARHART LN
VERONA, VA 24482

Acreage
3.19
MLS ID / MOPLS ID
664398
Price
$91,900

Let us help you find your favorite place

Your Local Land Specialist