TBD - Lot 4 Daphane Dr., Loris, Horry

$235,620
Loris, SC
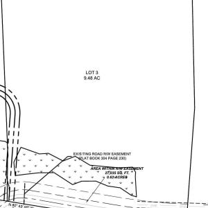
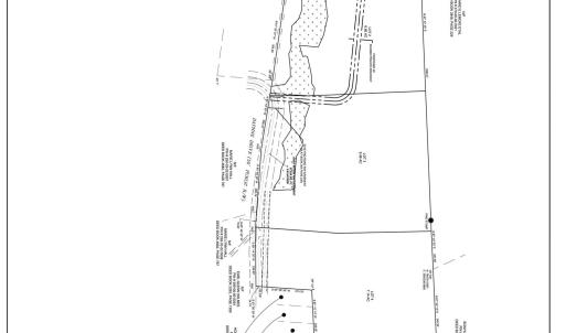
7.1 acres

TBD - Lot 4 Daphane Dr.
Loris, SC 29569
United States

Active
This listing is provided by Home Run Realty Powered by KW.

OWNER FINANCING AVAILABLE - Prime Development or Private Estate Opportunity – 7.14 Acres Near Myrtle Beach - EASY HIGHWAY ACCESS - HIGHWAY 905 / HIGHWAY 22 - 30+ac Available Unlock the potential of this exceptional tract of land perfectly positioned for development or a private residential retreat. Located just 18 minutes door-to-door from the Atlantic Ocean, this property offers unmatched access and flexibility in a rapidly growing area of Horry County. Situated less than one mile from the Highway 905/22 interchange, the property provides excellent visibility and accessibility. The street marks the boundary between Conway and Loris, creating a unique strategic location with strong growth potential. This versatile parcel allows light commercial use and residential development, including manufactured, modular, and stick-built homes — with NO HOA / NO FLOOD ZONE and no minimum square footage requirements. The land features valuable merchantable timber and hardwoods, offering immediate or future income potential. Utilities available at the road include water and sewer, streamlining the development process. Additional opportunity: Three adjoining lots available, bringing the combined total to 30.14± acres — ideal for subdivision, mixed-use concepts, or an expansive private estate. Located just minutes from historic downtown Conway and the Grand Strand beaches, this property delivers rare flexibility, location, and investment potential. Motivated seller. Owner financing available. Don’t miss this rare coastal-proximate land opportunity.

Last updated
December 7, 2025
MLS ID / MOPLS ID
2528966
Address

TBD - Lot 4 Daphane Dr.
Loris, SC 29569

Acreage
7.14
MLS ID / MOPLS ID
2528966
Price
$235,620

Let us help you find your favorite place

Your Local Land Specialist