TBD Bridgecreek Dr., Myrtle Beach, Horry

$2,295,000
Myrtle Beach, SC
6.0 acres

TBD Bridgecreek Dr.
Myrtle Beach, SC 29588
United States

Active
This listing is provided by Keystone Realty MB, LLC.

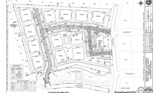
THIS IS A FEE SIMPLE SALE OF AN APARTMENT DEVELOPMENT SITE, INCLUDING A SET OF DEVELOPMENT PLANS. This 5.96Acre “Shovel Ready” Apartment Development Site in Myrtle Beach, SC. The site is accessed via Socastee Boulevard/Highway 707. Thissite is 1.7 miles from Market Commons and is within walking distance to the High School and the NEW Elementary School. 5.96 Acres,Boundary Survey and Arial Photos attached Wetlands: 5.96 Acres Found to be Void of Wetlands – Brigman Company 01-24-23

Last updated
October 4, 2025
MLS ID / MOPLS ID
2524153
Address

TBD Bridgecreek Dr.
Myrtle Beach, SC 29588

Acreage
5.96
MLS ID / MOPLS ID
2524153
Price
$2,295,000

Let us help you find your favorite place

Your Local Land Specialist