TBD New Rd., Conway, Horry

$89,900
Conway, SC
2.3 acres

TBD New Rd.
Conway, SC 29527
United States

Active
This listing is provided by Century 21 The Harrelson Group.

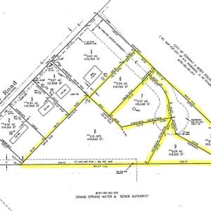
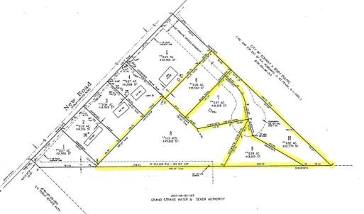
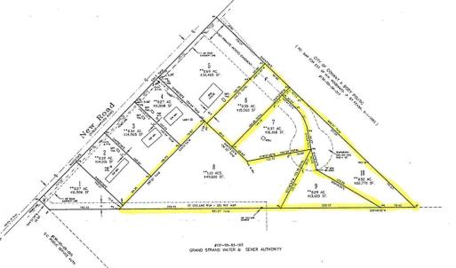
Discover the potential of this rare 2.28-acre property located just minutes from historic downtown Conway, offering endless possibilities for your next project. Comprising 5 individual lots, this unique opportunity provides flexibility for development, investment, or building your dream home. The land is beautifully wooded with mature trees, creating a natural and serene setting. With its prime location, you'll enjoy the perfect balance of privacy and convenience. This property is ideal for developers looking to create multiple homesites or for someone wanting a larger parcel with room to grow. The vibrant Conway community offers something for everyone, from small-town charm to modern amenities. Nearby, you'll find local parks that are perfect for outdoor recreation. A variety of restaurants and shopping centers are just a short drive away, ensuring everyday conveniences are close at hand. The scenic Conway Riverwalk adds even more appeal, providing a beautiful place to stroll along the water. This property presents an incredible opportunity to be part of a growing area with so much to offer. With easy access to downtown Conway, you'll be close to schools, services, and cultural attractions. Investors will appreciate the potential for subdivision, while homeowners will love the peaceful atmosphere. The size and location make this a truly versatile piece of land. Whether you envision a private retreat or a multi-lot development, this acreage is ready to bring your vision to life. Don't miss this outstanding listing--schedule your showing today before it's gone!

Last updated
January 13, 2026
MLS ID / MOPLS ID
2522923
Address

TBD New Rd.
Conway, SC 29527

Acreage
2.28
MLS ID / MOPLS ID
2522923
Price
$89,900

Let us help you find your favorite place

Your Local Land Specialist