Tract 1 Highway 9, Little River, Horry

$3,600,000
Little River, SC
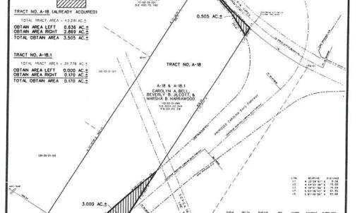
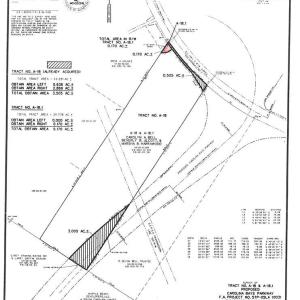
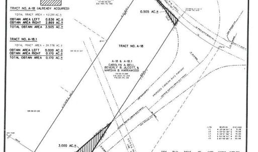
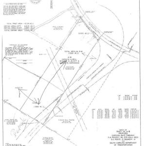
61.7 acres

Tract 1 Highway 9
Little River, SC 29566
United States

Active
This listing is provided by CB Sea Coast Commercial.

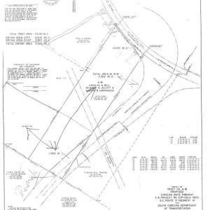
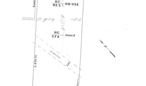
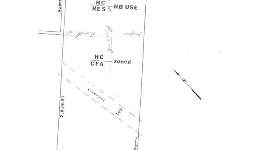
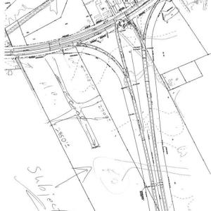
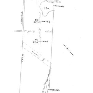
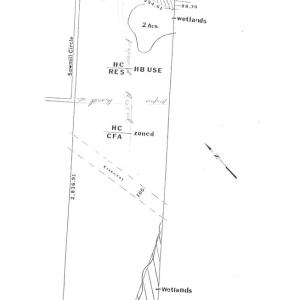
Great development site just off Highway 31 and Highway 9. 17 plus acres zoned Highway Commercial. 44.67 Acres zoned CFA. Water and sewer are available to site through Little River Water & Sewer. Highway 9 is a very desirable, fast growing corridor. Easy access and incredible visibility. Close to McLeod Seacoast Medical.

Last updated
October 5, 2025
MLS ID / MOPLS ID
1721536
Address

Tract 1 Highway 9
Little River, SC 29566

Acreage
61.67
MLS ID / MOPLS ID
1721536
Price
$3,600,000

Let us help you find your favorite place

Your Local Land Specialist