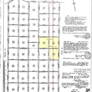
329 Greenview Ranches, Wilmington, New Hanover

$835,000
Wilmington, NC
16.7 acres

329 Greenview Ranches
Wilmington, NC 28411
United States

Active
This listing is provided by Coldwell Banker Sea Coast Advantage-Midtown - 910-799-5531.

16+ acres for sale in this undeveloped, heavily wooded area of Wilmington, NC. Ranches 329, 330 & 334 included in this listing. Ranch 329 is unused land and Ranches 330 & 334 are part of the Duke Energy power lines in the Northeast Wilmington Reliability Project. Parcel #s - R02800-001-103-000, R02800-001-102-00 Wooded land is in one of the fastest growing areas in Wilmington, NC!. Land is perfect to buy and hold as an investment. It is zoned R-15 and has deeded access per plat book 15, page 36, although it is not currently accessible with no dirt, gravel or paved road frontage. Northeastern New Hanover County has a new branch of Novant Hospital Emergency Room, Beautiful Surgery Center, Wilmington Eye Offices, Lowes Home Improvement, Holiday Inn Express Hotel, Walmart, Grocery Stores, Restaurants, Banks, Pharmacies and more all within less than 1 mile of this prope0 & R02800-001-095-000

Last updated
December 7, 2025
MLS ID / MOPLS ID
100479694
Address

329 Greenview Ranches
Wilmington, NC 28411

Acreage
16.65
MLS ID / MOPLS ID
100479694
Price
$835,000

Let us help you find your favorite place

Your Local Land Specialist