5745 Turnpike, Raeford, Hoke
5745 Turnpike
Raeford, NC 28376
United States

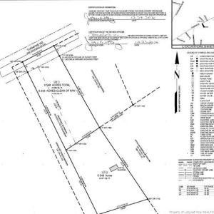
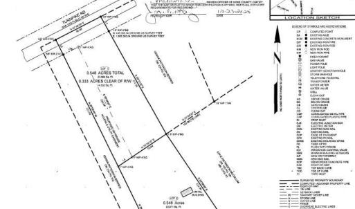
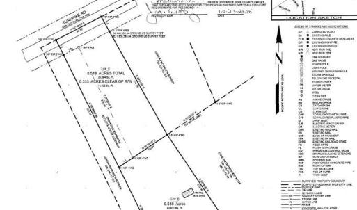
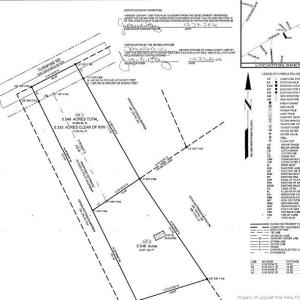
Build your dream home or place a manufactured home on this .55-acre cleared, surveyed lot (Lot 1) in Hoke County. Featuring 90.3 feet of paved, state-maintained road frontage, this residential parcel offers a flat topography and no flood zone or wetlands. Zoning is RA20—manufactured homes are allowed. No HOA.Utilities: Electricity available (Lumbee Electric); county water at the road; buyer to install septic. No existing wastewater system. No deed restrictions against manufactured homes.Seller Financing Available:25% down payment10–12% interestUp to 10 years fully amortizedOR: 3-year balloon, amortized over 20 years for a lower monthly paymentDistances to Key Locations:Southern Pines: approx. 18 milesPinehurst: approx. 22 milesFort Bragg (Liberty): approx. 16 milesFayetteville: approx. 23 milesConvenient to shopping, schools, and major area employers. Survey available. All information is deemed reliable, but buyer to verify during due diligence. An additional .548 acre lot is also available behind this one for a total of 1.1 acres that the sellers would sell for $65k total for both lots.
Listings marked with a Doorify MLS icon are provided courtesy of the Doorify MLS, of North Carolina, Internet Data Exchange Database. Brokers make an effort to deliver accurate information, but buyers should independently verify any information on which they will rely in a transaction. The listing broker shall not be responsible for any typographical errors, misinformation, or misprints, and they shall be held totally harmless from any damages arising from reliance upon this data. This data is provided exclusively for consumers’ personal, non-commercial use. Copyright 2026 Doorify MLS of North Carolina. All rights reserved.