Lot 3 Lanvale Rd, Leland, Brunswick

$1,224,500
Leland, NC
9.7 acres

Lot 3 Lanvale Rd
Leland, NC 28451
United States

Active
This listing is provided by Rosemark Commercial Advisors, Inc. - 703-244-6113.

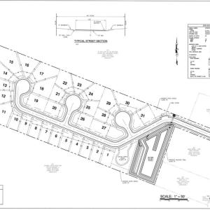
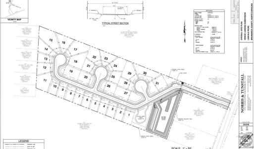
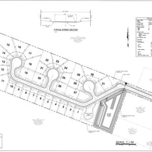
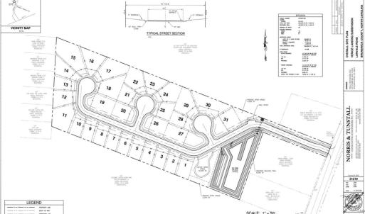
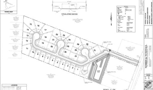
31 approved lots with nearly all entitlements in hand. Last item needed is renewal of stormwater permit, which owner has re-applied for - we expect 90-120 days for approval. Buyer will have to post bond for stormwater pond (refundable). Annexed into Town of Leland in order to get water/sewer via H2Go. All due diligence material will be made available to interested parties. Property is approximately 1 mile from new Publix shopping center called Leland Village (previously Shoppes at Savannah Branch) which has broken ground, delivery expected early 2027. This is directly across Hwy 17 from Brunswick Forest. Lots are a minimum of 43' wide at street (wider at rear of lot) up to 75' wide with a variety of depths. List price is based on $39,500/undeveloped lot

Last updated
November 27, 2025
MLS ID / MOPLS ID
100538538
Address

Lot 3 Lanvale Rd
Leland, NC 28451

Acreage
9.66
MLS ID / MOPLS ID
100538538
Price
$1,224,500

Let us help you find your favorite place

Your Local Land Specialist