L-7 Jabbertown, Southport, Brunswick

$629,900
Southport, NC
7.9 acres

L-7 Jabbertown
Southport, NC 28461
United States

Active
This listing is provided by Margaret Rudd Assoc/O.I. - 910-278-5213.

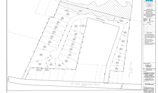
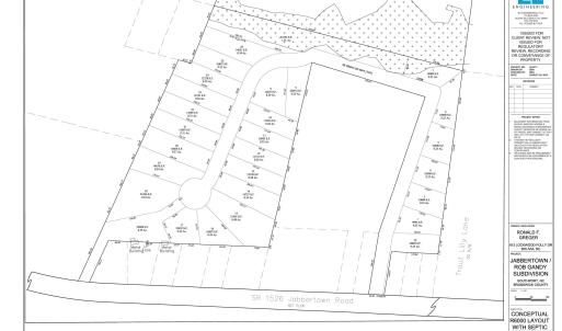
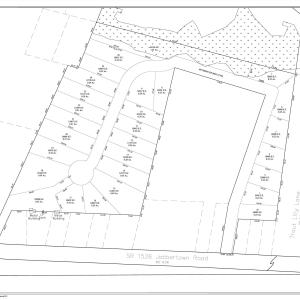
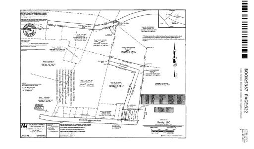
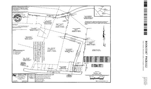
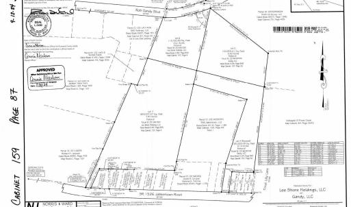
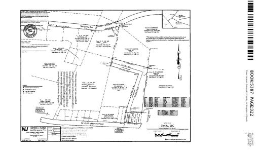
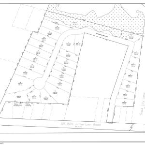
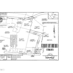
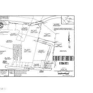
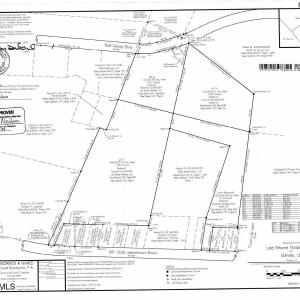
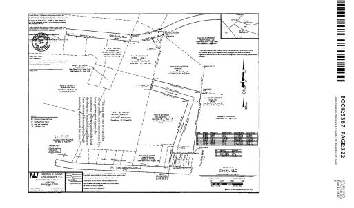
7+ Acre parcel near Southport. A rare opportunity to build a private estate or develop a custom residential community just minutes from Southport. This expansive 7+ acre parcel offers exceptional flexibility and is one of the few large tracts remaining this close to Southport. ADDED BONUS: Preliminary Site Studies have been completed. Located just outside the Southport city limits in Brunswick County, the property is zoned R-6000, allowing a wide range of residential possibilities. Homebuyers will appreciate the space, privacy, and peaceful setting, while builders and investors will recognize the strong potential in this rapidly growing area. If buyer desires to maximize density, a conceptual site plan indicates up to 20 potential lots, making this property well-suited for a small custom neighborhood or residential expansion. Key Features: · Over 7 acres in a highly desirable location · Zoned R-6000 for residential development · Preliminary Site & Soil Evaluation completed · Preliminary Wetland Delineation completed · Conceptual site plan showing ~20 potential lots is available · Minutes from Southport, Oak Island, and area beaches Enjoy the tranquility of suburban living with quick access to waterfront charm, historic downtown Southport, and Brunswick County's most popular beaches.

Last updated
January 24, 2026
MLS ID / MOPLS ID
100520197
Address

L-7 Jabbertown
Southport, NC 28461

Acreage
7.87
MLS ID / MOPLS ID
100520197
Price
$629,900

Let us help you find your favorite place

Your Local Land Specialist