780 James Pait, Bladenboro, Bladen

$39,900
Bladenboro, NC
4.0 acres

780 James Pait
Bladenboro, NC 28320
United States

Active
This listing is provided by Tatum Realty LLC - 910-493-3543.

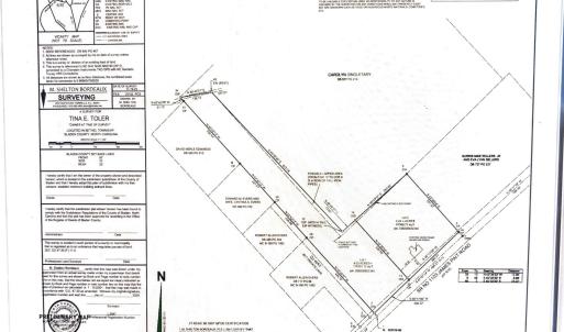
Escape to the country on James Pait Road! This beautiful 4.02-acre tract in Bladenboro offers the perfect blend of open space and natural beauty. Whether you are looking to build your forever home, start a mini-homestead, or place a manufactured home, this land is ready for your vision. Why you'll love this property: Harvest Your Own: The property features mature Pecan trees and towering Pines, providing instant landscaping, shade, and an autumn harvest. Build-Ready Terrain: No need to worry about flood zones. This land is level and well-drained, making site preparation easy and affordable. Convenience Meets Country: Enjoy the peace of a rural setting with the convenience of state paved road frontage. Utilities Available: Save thousands on infrastructure—County water and utilities are accessible at the road. Stop dreaming and start building. This is the high-and-dry acreage you've been waiting for.

Last updated
January 19, 2026
MLS ID / MOPLS ID
100550052
Address

780 James Pait
Bladenboro, NC 28320

Acreage
4.02
MLS ID / MOPLS ID
100550052
Price
$39,900

Let us help you find your favorite place

Your Local Land Specialist