Rosewood, Goldsboro, Wayne
Rosewood
Goldsboro, NC 27534
United States

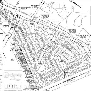
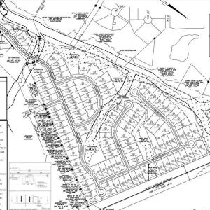
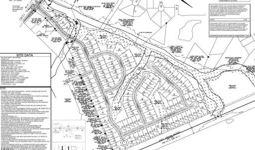
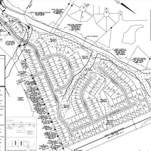
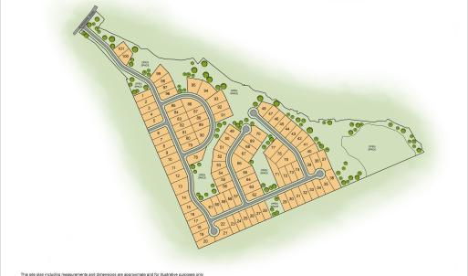
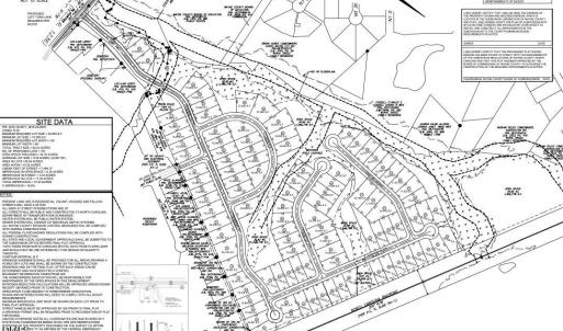
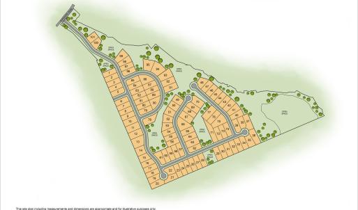
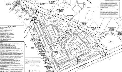
Preliminary Approved Subdivision for 101 single family lots in the highly desired Rosewood Community! Minutes right outside Johnston County down US-70. Water will be County water and individual septic tanks. Large hardwood trees and topo would make a beautiful subdivision. Surveys, Prelim Maps, Soils Reports, & Environmental Reports are available.
Listings marked with a Doorify MLS icon are provided courtesy of the Doorify MLS, of North Carolina, Internet Data Exchange Database. Brokers make an effort to deliver accurate information, but buyers should independently verify any information on which they will rely in a transaction. The listing broker shall not be responsible for any typographical errors, misinformation, or misprints, and they shall be held totally harmless from any damages arising from reliance upon this data. This data is provided exclusively for consumers’ personal, non-commercial use. Copyright 2026 Doorify MLS of North Carolina. All rights reserved.