3020 Holland, Apex, Wake
3020 Holland
Apex, NC 27502
United States

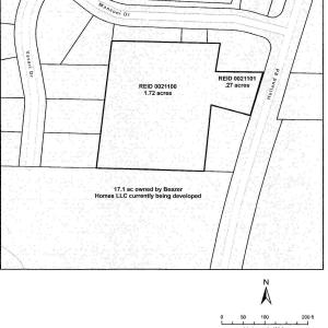
Listing includes 2 parcels: Wake County REID 0021100 and 0021101 for a total of 1.99 acres. Property is surrounded by the Bella Casa neighborhood to the north and west and the new Beazer Homes LLC development to the south. Access to Holland Road is on the east side. Lot dimensions were taken from the Wake County GIS; there is no current survey available. There are 2 single wide trailers on the property, a detached garage, several other small sheds and the original homesite structure: none of which should not be entered. All structures are considered to be obsolete and of no value. Well and septic on site. County water and sewer close. There is a tenant living in the green trailer that has no ownership interest in the property.
Listings marked with a Doorify MLS icon are provided courtesy of the Doorify MLS, of North Carolina, Internet Data Exchange Database. Brokers make an effort to deliver accurate information, but buyers should independently verify any information on which they will rely in a transaction. The listing broker shall not be responsible for any typographical errors, misinformation, or misprints, and they shall be held totally harmless from any damages arising from reliance upon this data. This data is provided exclusively for consumers’ personal, non-commercial use. Copyright 2026 Doorify MLS of North Carolina. All rights reserved.