6901 Cass Holt, Holly Springs, Wake
6901 Cass Holt
Holly Springs, NC 27540
United States

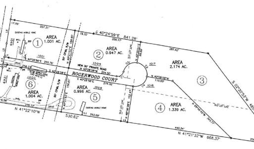
Rare assemblage opportunity to purchase approximately 8.1 acres in the ETJ of Holly Springs through a partition sale consisting of 6 parcels of mostly level, zoned rural residential. Best use low-density single family. Cash-only offers required and all offers are subject to upset bids and final Court approval. Detailed Offer Submittal Instructions in Documents Section of MLS. Buyer should assume all responsibility for removal of structures and vehicles. No public water or sewer nearby; buyers to verify well and septic options. Property includes a power line easement across two parcels and offers convenient access to Holly Springs, Fuquay-Varina, and Apex. PINs 637537095, 637622439, 637620561, 637528752, 637526952, 637529886. Reference Plat Map BM1999-02336 for more details. Contact Listing Broker for Questions. Do Not Visit Property without Listing Broker Notification.
Listings marked with a Doorify MLS icon are provided courtesy of the Doorify MLS, of North Carolina, Internet Data Exchange Database. Brokers make an effort to deliver accurate information, but buyers should independently verify any information on which they will rely in a transaction. The listing broker shall not be responsible for any typographical errors, misinformation, or misprints, and they shall be held totally harmless from any damages arising from reliance upon this data. This data is provided exclusively for consumers’ personal, non-commercial use. Copyright 2026 Doorify MLS of North Carolina. All rights reserved.