2918 Haven, Raleigh, Wake
2918 Haven
Raleigh, NC 27610
United States

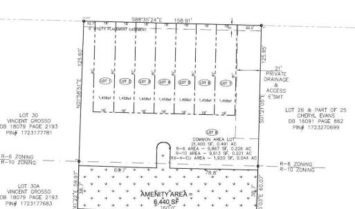
Townhome Building Opportunity in Prime Raleigh Location! This 0.68 acre site has received preliminary subdivision approval from the City of Raleigh for 7 fee simple townhome lots. Perfectly positioned within walking distance to Raleigh Country Club, less than 1 mile from WakeMed Hospital and Wake Tech, and just 4 miles from downtown Raleigh, this property offers unbeatable convenience and growth potential. The seller is planning to demo the existing structure, complete all horizontal site improvements and deliver ready sites for your vision. During the next 4-5 months, seller will proceed with final construction SPR approval and we have a unique opportunity to partner with a builder to finalize the construction design to perfectly reflect your product. Don't miss this chance to bring a premier townhome community to one of Raleigh's fastest-growing and most desirable areas. If you would like a copy of the approved plans, please email listing agent.
Listings marked with a Doorify MLS icon are provided courtesy of the Doorify MLS, of North Carolina, Internet Data Exchange Database. Brokers make an effort to deliver accurate information, but buyers should independently verify any information on which they will rely in a transaction. The listing broker shall not be responsible for any typographical errors, misinformation, or misprints, and they shall be held totally harmless from any damages arising from reliance upon this data. This data is provided exclusively for consumers’ personal, non-commercial use. Copyright 2026 Doorify MLS of North Carolina. All rights reserved.