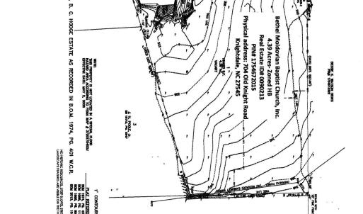
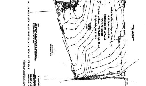
704 Old Knight, Knightdale, Wake
704 Old Knight
Knightdale, NC 27545
United States

This vacant 4.39 acre parcel is well located inside the Town limits and has all major utilities accessible to it. The parcel is zoned HB. Please refer to the Knightdale UDO for information concerning building and development requirements. Greystone Management sign sign on the property.
Listings marked with a Doorify MLS icon are provided courtesy of the Doorify MLS, of North Carolina, Internet Data Exchange Database. Brokers make an effort to deliver accurate information, but buyers should independently verify any information on which they will rely in a transaction. The listing broker shall not be responsible for any typographical errors, misinformation, or misprints, and they shall be held totally harmless from any damages arising from reliance upon this data. This data is provided exclusively for consumers’ personal, non-commercial use. Copyright 2026 Doorify MLS of North Carolina. All rights reserved.