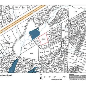
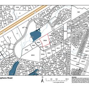
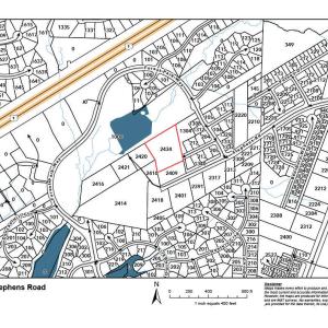
2434 Stephens, Cary, Wake
2434 Stephens
Cary, NC 27518
United States

Amazing opportunity to build your dream home. Bring your own builder. NO HOA. Great residential chance to own land within the the Town of Cary city limits. Build your custom home on approximately 2.5 acres! This large tract features mostly cleared land with endless possibilities. Enjoy a very private feel but close to everything and everything is just a few minutes away. Shopping, dining, movies. Easy access to US 64/1 and I-40. NO HOA!!!! Zoned R-40. City water available at street. Just a few steps from the future Cary Greenway. Seller is asking to close in 60 days with no contingencies or entitlement approvals. Priced to sell!! Please call listing agent with any questions. 919-264-8006
Listings marked with a Doorify MLS icon are provided courtesy of the Doorify MLS, of North Carolina, Internet Data Exchange Database. Brokers make an effort to deliver accurate information, but buyers should independently verify any information on which they will rely in a transaction. The listing broker shall not be responsible for any typographical errors, misinformation, or misprints, and they shall be held totally harmless from any damages arising from reliance upon this data. This data is provided exclusively for consumers’ personal, non-commercial use. Copyright 2026 Doorify MLS of North Carolina. All rights reserved.