Fenner Rd & Jeffreys, Rocky Mount, Nash
Fenner Rd & Jeffreys
Rocky Mount, NC 27804
United States

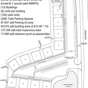
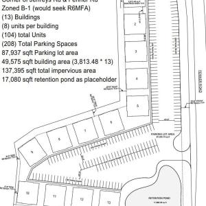
Prime 5.53-Acre Development Site | Corner of Jeffreys & Fenner Rd Positioned at the high-traffic intersection of Jeffreys Road and Fenner Road, this 5.53-acre parcel offers a rare ''blank canvas'' opportunity in one of Rocky Mount's most active growth paths. Whether you are looking to capitalize on current business zoning or pivot toward high-density residential demand, this site is positioned for success. The Opportunity Current Zoning (B-1): Ideal for neighborhood business applications, office space, or retail services that benefit from excellent visibility and easy access. The Vision (R-6MFA Potential): While currently commercial, a conceptual plan has been developed for R-6MFA (Multi-Family Residential). This ''Higher and Better Use'' concept addresses the surging need for quality multi-family housing in the area, offering a developer-ready roadmap for a high-density community. The provided concept plan is for conceptualization only and has not been reviewed by a civil engineer Key Site Features High Visibility: Extensive frontage on both Jeffreys and Fenner Roads. Strategic Access: Minutes away from major retailers, medical facilities, and the US-64/I-95 corridor. Infrastructure: Located in a well-served area with utilities nearby, simplifying the development timeline. Scalable Layout: 5.53 acres provides ample room for creative site planning, including required setbacks, parking, and green space.
Listings marked with a Doorify MLS icon are provided courtesy of the Doorify MLS, of North Carolina, Internet Data Exchange Database. Brokers make an effort to deliver accurate information, but buyers should independently verify any information on which they will rely in a transaction. The listing broker shall not be responsible for any typographical errors, misinformation, or misprints, and they shall be held totally harmless from any damages arising from reliance upon this data. This data is provided exclusively for consumers’ personal, non-commercial use. Copyright 2026 Doorify MLS of North Carolina. All rights reserved.