391 & 377 Hunter, Zebulon, Johnston
391 & 377 Hunter
Zebulon, NC 27597
United States

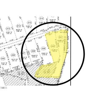
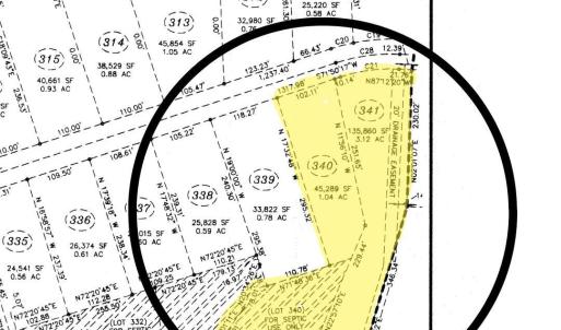
4.16 Acres available in established Buffalo Creek Neighborhood. Land includes both lots 340 & 341
Listings marked with a Doorify MLS icon are provided courtesy of the Doorify MLS, of North Carolina, Internet Data Exchange Database. Brokers make an effort to deliver accurate information, but buyers should independently verify any information on which they will rely in a transaction. The listing broker shall not be responsible for any typographical errors, misinformation, or misprints, and they shall be held totally harmless from any damages arising from reliance upon this data. This data is provided exclusively for consumers’ personal, non-commercial use. Copyright 2025 Doorify MLS of North Carolina. All rights reserved.