2930 Old Charlotte, Monroe, Union
2930 Old Charlotte
Monroe, NC 28110
United States

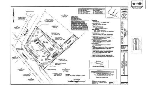
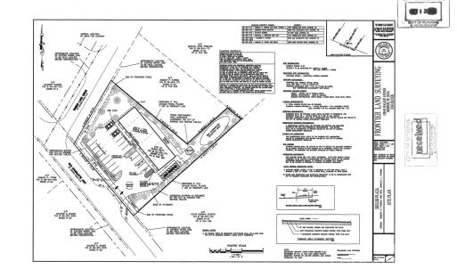
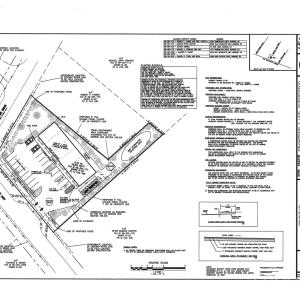
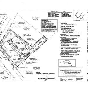
Commercial Lot for Sale -This prime 0.75-acre commercial lot is situated at the intersection of Old Charlotte Highway and Timber Lane in Monroe, presenting an excellent development opportunity. According to the City of Monroe, this location falls within the Suburban character area of the future land use map.Key permitted uses in this area include single-family residential, multi-family residential, commercial office, medical facilities, civic spaces, and open areas. The lot is conveniently located next to Circle K and is easily accessible from a major roadway connecting Monroe and Indian Trail. Water and sewer services are available, although tap fees have not yet been paid. A 6-unit retail space was previously approved but per City of Monroe it has lost its vesting, and any new projects would need rezoning. Contact Megan Brightharp with the City for questions mbrightharp@monroenc.org
Based on information submitted to the MLS GRID as of January 26, 2026 - 5:30pm. All data is obtained from various sources and may not have been verified by broker or MLS GRID. Supplied Open House Information is subject to change without notice. All information should be independently reviewed and verified for accuracy. Properties may or may not be listed by the office/agent presenting the information.