3331 NC Highway 66, Westfield, Stokes
3331 NC Highway 66
Westfield, NC 27053
United States

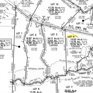
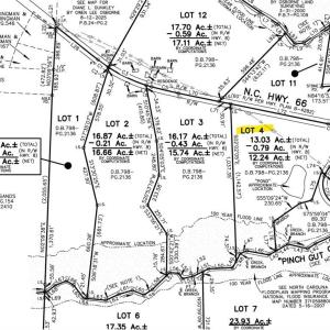
13-acre property (lot #4) in Stokes County, North Carolina, featuring a scenic blend of 3± acres of open land and 10± acres of mid-aged hardwood forest, gentle rolling topo, 337 feet of stream frontage on Pinch Gut Creek, 1 acre pond, and 1,095 feet of paved, low-traffic state road frontage. No HOA and only min deed restrictions. Power and fiber internet are located along State road. A recent soils evaluation identified soils suitable for septc. Low county property taxes. Additional lots available for sale. Located 17 minutes from Pilot Mountain, 25 minutes from Mount Airy, 19 minutes to Hanging Rock State Park, and 21 minutes to Pilot Mountain State Park, this property offers rural serenity without sacrificing access to modern conveniences. Ideal for those seeking a country homestead, mini-farm, or investment in the heart of North Carolina’s foothills. Visit the listing agent's website for more information, to access attachments, view an interactive map, and watch the video tour.
Copyright 2026 Triad MLS, Inc. All rights reserved. IDX information is provided exclusively for personal, non-commercial use, and may not be used for any purpose other than to identify prospective properties consumers may be interested in purchasing. Information is deemed reliable but not guaranteed. Properties marked with the Triad MLS, Inc. icon are provided courtesy of the Triad MLS, Inc.'s, Internet Data Exchange Database.
The listing broker's offer of compensation is made only to participants of the MLS where the listing is filed.
Sale data is for informational purposes only and is not an indication of a market analysis or appraisal. Data last refreshed: March 16, 2026 - 5:30pm