Alonzo, Oakboro, Stanly
Alonzo
Oakboro, NC 28129
United States

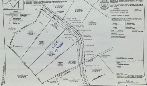
Update: Lot 3 closed for $150,000 on 1/28/26. Currently 6.0 acres are still for sale at $50,000 per acre, currently approved with Stanly County Zoning for a maximum of two remaining 3.00 acre lots at a price of $150,000 per 3.00 acre lot. (update-lot 2 closed on 10/23/25 for $150,000. The Seller has a letter of approval from Stanly County Utilities for Sewer availability for up to 2 additional homes and DOT agreement with the seller, allowing each lot to have its own driveway access. Please verify with Stanly County Utilities the specific charges for connecting to this forced pressure sewer main line. A special grade pump will be requires. No septic evaluations have been done on these lots but a septic system may also be possible. Please review the proposed lot configurations for lots 1and 4 are for sale. The Seller has each lot surveyed to 3.00 acres for each of 2 available homesites.
Copyright 2026 Triad MLS, Inc. All rights reserved. IDX information is provided exclusively for personal, non-commercial use, and may not be used for any purpose other than to identify prospective properties consumers may be interested in purchasing. Information is deemed reliable but not guaranteed. Properties marked with the Triad MLS, Inc. icon are provided courtesy of the Triad MLS, Inc.'s, Internet Data Exchange Database.
The listing broker's offer of compensation is made only to participants of the MLS where the listing is filed.
Sale data is for informational purposes only and is not an indication of a market analysis or appraisal. Data cannot be redistributed and cannot be used for any reason other than provided herein. Data last refreshed: May 4, 2026 - 9:30am