100 River Bend, Timberlake, Person
100 River Bend
Timberlake, NC 27583
United States

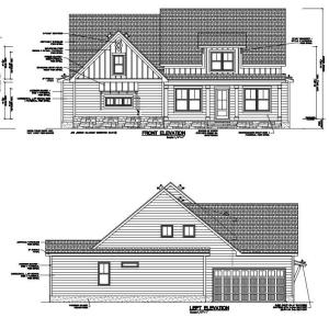
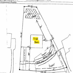
Discover the perfect canvas to build your dream home on this serene, private lot in the highly sought-after Timberlake community. Surrounded by high-value homes and natural beauty, this property offers both tranquility and prestige; providing a peaceful, country lifestyle while still keeping you close to major roads, shopping, dining, and city conveniences. This lot features a SEPTIC PERMIT APPROVED FOR A FOUR-BEDROOM HOME, giving you a major head start on construction. The community does not allow vinyl siding, ensuring elevated architectural standards and maintaining the neighborhood's upscale appearance. Additionally, blueprints have already been professionally drawn and approved by the HOA, and the full plan is available for the buyer—saving time, money, and simplifying your building process. Timberlake's strong housing market and desirable neighborhoods make this property not only a beautiful place to build, but also a smart long-term investment. Whether you imagine a spacious family home, a private retreat, or a modern custom residence, this lot offers the ideal setting to bring your vision to life.
Listings marked with a Doorify MLS icon are provided courtesy of the Doorify MLS, of North Carolina, Internet Data Exchange Database. Brokers make an effort to deliver accurate information, but buyers should independently verify any information on which they will rely in a transaction. The listing broker shall not be responsible for any typographical errors, misinformation, or misprints, and they shall be held totally harmless from any damages arising from reliance upon this data. This data is provided exclusively for consumers’ personal, non-commercial use. Copyright 2026 Doorify MLS of North Carolina. All rights reserved.