Tramway, Sanford, Lee
Tramway
Sanford, NC 27330
United States

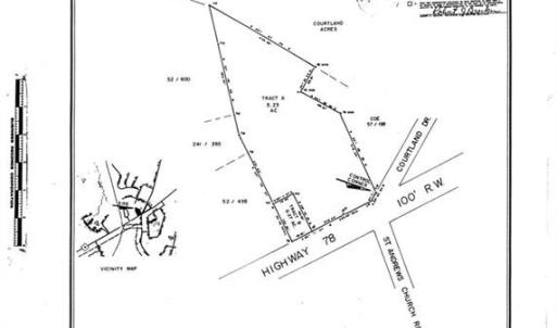
Exceptional development opportunity on 5.23 acre parcel located on a high-visibility corner of Tramway Road and W Courtland Avenue, within the City limits and in a rapidly developing corridor connecting Tramway and Jonesboro. This area is experiencing strong growth, with new businesses and residential developments underway. This property features unique mixed land-use zoning allowing for both commercial and residential development, making it ideal for a wide range of investment or end-user possibilities. Public water and sewer are available, adding to the site’s development readiness. According to Plan SanLee, the County’s adopted long-range land use plan, the property is designated as Neighborhood Center, a classification that encourages a blend of uses including residential: townhomes, apartments, and mixed-use buildings, and commercial: retail, personal services, and office-type uses. Re-zoning to all commercial or all residential is an option per Lee County Planning and Zoning. This is a rare opportunity to secure a high-visibility corner parcel with flexible development potential in one of the area’s fastest-growing corridors.
Listings marked with a Doorify MLS icon are provided courtesy of the Doorify MLS, of North Carolina, Internet Data Exchange Database. Brokers make an effort to deliver accurate information, but buyers should independently verify any information on which they will rely in a transaction. The listing broker shall not be responsible for any typographical errors, misinformation, or misprints, and they shall be held totally harmless from any damages arising from reliance upon this data. This data is provided exclusively for consumers’ personal, non-commercial use. Copyright 2026 Doorify MLS of North Carolina. All rights reserved.