Gulf, Sanford, Lee
Gulf
Sanford, NC 27330
United States

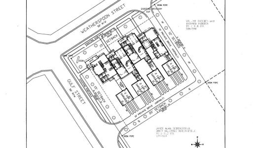
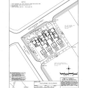
Approved 4-Unit Townhome Development - Shovel Ready w/ Architectural Plans Rare opportunity to acquire a fully approved, shovel-ready townhome project in the growing Sanford market. This offering includes two contiguous parcels totaling ±0.55 acres with approved plans and front elevation renderings for four (4) townhomes with garages. The proposed design features a thoughtful, historically inspired architectural style that aligns with the character of the surrounding area--an increasingly important factor for buyer appeal and long-term value. Elevations and plans are available, allowing a builder to move quickly from closing to construction. The site is flat, cleared, and utilities are available, minimizing upfront development costs and eliminating much of the typical entitlement timeline and risk. Located just off N. Gulf Street near downtown Sanford, this property is ideally positioned to benefit from ongoing growth and demand for quality attached housing. Highlights: Approved for 4 townhomes (garage units) Architectural plans + front elevation rendering included ±0.55 acres (2 parcels) Flat, cleared site Utilities available Infill location near downtown Sanford Reduced entitlement risk → faster path to vertical construction Builder/Investor Opportunity: With approvals and design already in place, this project offers a streamlined path to development--ideal for builders seeking efficient deployment of capital in a growing market. Suitable for build-to-sell or build-to-rent strategies. 2nd Lot 10 Not listed also priced: $337,500, total both lots: $675,000
Listings marked with a Doorify MLS icon are provided courtesy of the Doorify MLS, of North Carolina, Internet Data Exchange Database. Brokers make an effort to deliver accurate information, but buyers should independently verify any information on which they will rely in a transaction. The listing broker shall not be responsible for any typographical errors, misinformation, or misprints, and they shall be held totally harmless from any damages arising from reliance upon this data. This data is provided exclusively for consumers’ personal, non-commercial use. Copyright 2026 Doorify MLS of North Carolina. All rights reserved.