High Rock, Gibsonville, Guilford
High Rock
Gibsonville, NC 27249
United States

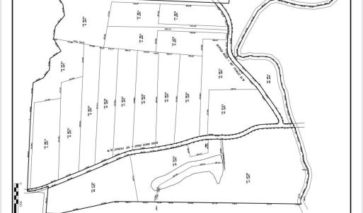
Great Price , all have soil evaluations for 3bd sites are marked ,lot # 8 has offsite perk onto lot #7. Lots 10-14 have flood area on the rear of lots, lots 15-16 have flood areas ( All Lots have beautiful home sites) plat and price list are attached, preliminary restrictions are 2000 sq ft /wdouble garage -2500 sq ft no garage ( bring your floor plan , builder , kids and animals) updated map for lots 6 and 8
Listings marked with a Doorify MLS icon are provided courtesy of the Doorify MLS, of North Carolina, Internet Data Exchange Database. Brokers make an effort to deliver accurate information, but buyers should independently verify any information on which they will rely in a transaction. The listing broker shall not be responsible for any typographical errors, misinformation, or misprints, and they shall be held totally harmless from any damages arising from reliance upon this data. This data is provided exclusively for consumers’ personal, non-commercial use. Copyright 2026 Doorify MLS of North Carolina. All rights reserved.