5735 Eckerson, Greensboro, Guilford
5735 Eckerson
Greensboro, NC 27405
United States

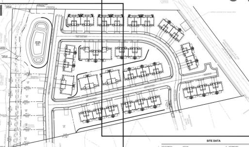
Developers don't miss your chance to pickup and build Eckerson Valley Greensboro's latest clean sheet designed town-home and single family home community. The community currently is TRC approved (Sept 18, 2025) for 62 town-homes (single and two story) and 6 single family detached homes for a total of 68 units. The heavy lifting for this subdivision has been done and its ready for you to take over and build. The development is conveniently located a short distance from PTI Airport, shopping, major employers, and minutes from I-840 bypass granting you access to the region.
Copyright 2026 Triad MLS, Inc. All rights reserved. IDX information is provided exclusively for personal, non-commercial use, and may not be used for any purpose other than to identify prospective properties consumers may be interested in purchasing. Information is deemed reliable but not guaranteed. Properties marked with the Triad MLS, Inc. icon are provided courtesy of the Triad MLS, Inc.'s, Internet Data Exchange Database.
The listing broker's offer of compensation is made only to participants of the MLS where the listing is filed.
Sale data is for informational purposes only and is not an indication of a market analysis or appraisal. Data last refreshed: April 21, 2026 - 11:30pm