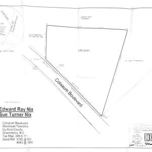
2300 Coliseum, Greensboro, Guilford
2300 Coliseum
Greensboro, NC 27406
United States

Prime Commercial Property for Sale! This 4.94-acre property is located on Coliseum Boulevard in Greensboro NC, just minutes from the Greensboro Coliseum and the ACC Hall of Champions. The property is zoned C-2, which allows for a variety of commercial uses, including retail, office, and light industrial. The property is currently vacant, but it has excellent potential for development. The land is level and well-drained, and it is already served by utilities. The property is also located in a highly visible area with excellent access to major highways. This property is a great opportunity for investors or developers who are looking to acquire a well-located commercial property in a growing market. Property Features: Zoned: R90 Land Use Map Recommends Mixed Use Commercial: .1 miles from 220/I73 .5 miles from from I40 1.3 miles from the Greensboro Coliseum 1.4 miles from UNCG 1.8 Miles from I85 3.2 miles from Downtown Greensboro 1.3 miles form regional airport. High Visibility Location!!
Copyright 2026 Triad MLS, Inc. All rights reserved. IDX information is provided exclusively for personal, non-commercial use, and may not be used for any purpose other than to identify prospective properties consumers may be interested in purchasing. Information is deemed reliable but not guaranteed. Properties marked with the Triad MLS, Inc. icon are provided courtesy of the Triad MLS, Inc.'s, Internet Data Exchange Database.
The listing broker's offer of compensation is made only to participants of the MLS where the listing is filed.
Sale data is for informational purposes only and is not an indication of a market analysis or appraisal.