4942 Red Pine, Pfafftown, Forsyth
4942 Red Pine
Pfafftown, NC 27040
United States

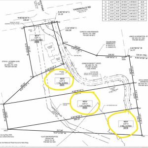
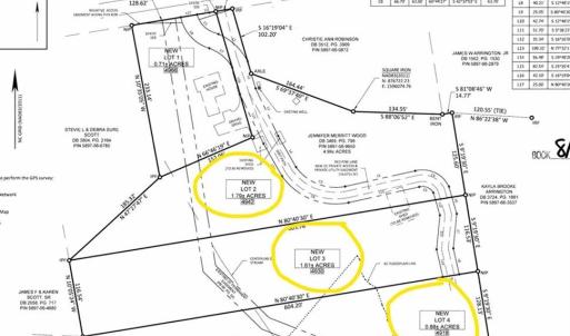
3 residential building lots nestled on 4.2 picturesque acres, offering a blend of privacy, convenience, and natural beauty. The majority of the property features a gently sloping grass field, encircled on all sides by mature hardwood trees—perfect for those seeking a peaceful homesite with room to roam. Each lot enjoys access to Yadkinville Rd, a small stream, and public water and public sewer (water at the road; sewer line on each lot), ensuring easy utility connections. Families will appreciate assignment to Vienna Elementary, Lewisville Middle, and Reagan High. Low prop. taxes at 0.612%, and no deed restrictions provide flexibility for your plans. A carport, an equipment shed, and a working well come with the property. Prime location-you’re not far from shopping, schools, parks, or city amenities. This is an exceptional opportunity: three build-ready lots ready for your vision. Adjoining 2 bdrm home for sale for $190,000. Visit listing agent's website for more details and video tour
Copyright 2025 Triad MLS, Inc. All rights reserved. IDX information is provided exclusively for personal, non-commercial use, and may not be used for any purpose other than to identify prospective properties consumers may be interested in purchasing. Information is deemed reliable but not guaranteed. Properties marked with the Triad MLS, Inc. icon are provided courtesy of the Triad MLS, Inc.'s, Internet Data Exchange Database.
The listing broker's offer of compensation is made only to participants of the MLS where the listing is filed.
Sale data is for informational purposes only and is not an indication of a market analysis or appraisal.