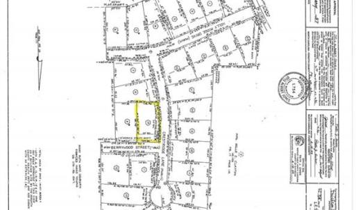
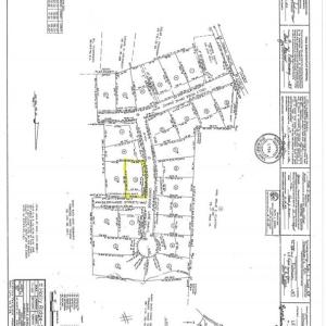
600 & 604 Berrywood, Winston-Salem, Forsyth
600 & 604 Berrywood
Winston-Salem, NC 27105
United States

Lot 9 & 10 are being sold together because of lack of usable soils for septic. This allows for suitable septic area. Street addresses are 600 & 604 Berrywood St.
Copyright 2026 Triad MLS, Inc. All rights reserved. IDX information is provided exclusively for personal, non-commercial use, and may not be used for any purpose other than to identify prospective properties consumers may be interested in purchasing. Information is deemed reliable but not guaranteed. Properties marked with the Triad MLS, Inc. icon are provided courtesy of the Triad MLS, Inc.'s, Internet Data Exchange Database.
The listing broker's offer of compensation is made only to participants of the MLS where the listing is filed.
Sale data is for informational purposes only and is not an indication of a market analysis or appraisal. Data last refreshed: April 7, 2026 - 12:00am