Stanleyville, Rural Hall, Forsyth
Stanleyville
Rural Hall, NC 27045
United States

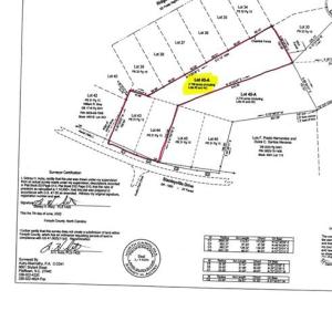
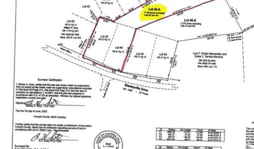
Building lot in Rural Hall in the Ridgecliff community on Stanleyville Rd. and close to shopping on Hanes Mill Rd. Great opportunity to select your own builder! Deed restrictions attached. See plat map for easements of record. Septic approval required. Legal Lot 43A/Tax Lot 144 (new tax lot established 2023; tax value TBD). Owner/Broker (HR#4298)
Copyright 2026 Triad MLS, Inc. All rights reserved. IDX information is provided exclusively for personal, non-commercial use, and may not be used for any purpose other than to identify prospective properties consumers may be interested in purchasing. Information is deemed reliable but not guaranteed. Properties marked with the Triad MLS, Inc. icon are provided courtesy of the Triad MLS, Inc.'s, Internet Data Exchange Database.
The listing broker's offer of compensation is made only to participants of the MLS where the listing is filed.
Sale data is for informational purposes only and is not an indication of a market analysis or appraisal. Data last refreshed: March 22, 2026 - 11:00pm