HIGHWAY 74, Peachland, Anson
HIGHWAY 74
Peachland, NC 28133
United States

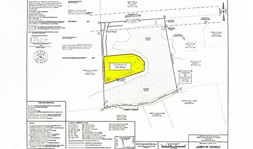
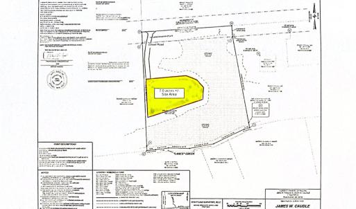
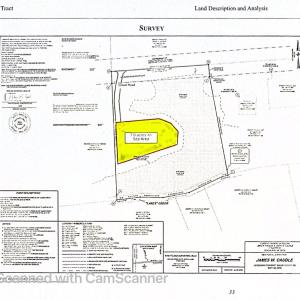
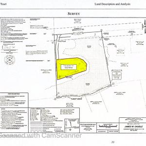
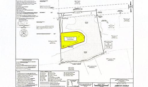
Light Industrial property spanning approximately 21.4+/- acres is a portion of a larger track located on the southside of US Highway 74 W. in western Anson County near the county line. The Light Industrial-LI zoning permits a variety of manufacturing, warehousing & related uses for development. There is over 800 feet of frontage along Highway 74. The NCDOT reports 20,000 vehicles pass on US Highway 74 W. each day (2023). This site is conveniently located just a few miles from Peachland, Marshville, and the Highway 74 Bypass to the Charlotte region. A multi-year billboard lease will also be conveyed with the property. County water is available at Highway 74, subject to final approval, required fees & permits. A Soil Scientist Evaluation is available for a system to meet prior requirements. Approximately 7.0 +/- acres of the property are suitable for development. The rear of the property is bordered by Lanes Creek, creating a natural habitat for wildlife, green space & privacy. The Anson County L-I permitted use list is available. The 21.4+/- section has a new parcel number since the property has been surveyed and divided from a larger parcel [per Anson County Tax Office].
Based on information submitted to the MLS GRID as of April 30, 2026 - 2:00am. All data is obtained from various sources and may not have been verified by broker or MLS GRID. Supplied Open House Information is subject to change without notice. All information should be independently reviewed and verified for accuracy. Properties may or may not be listed by the office/agent presenting the information.