1103 Sandy Ridge Church, Morven, Anson

$75,000
Morven, NC
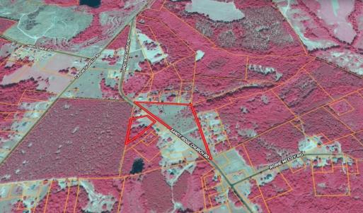
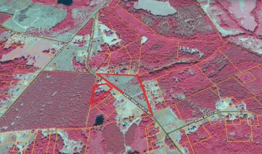
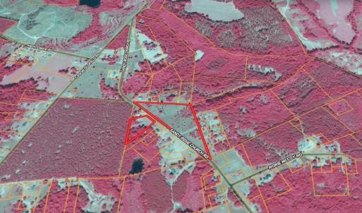
13.9 acres

1103 Sandy Ridge Church
Morven, NC 28119
United States

Active
This listing is provided by Coldwell Banker Preferred Properties - 910-895-6960.

Back on the Market no fault to the seller Bring your plans to the country--1103 Sandy Ridge Church Rd in Morven offers 13.85± acres of flat, level ground with two separate parcels, giving you flexibility for a private estate-style homesite, mini-farm feel, recreation, or a long-term land hold. A major bonus is the road presence: ~1,777' of frontage on one parcel plus ~195' on the other, providing multiple layout options and strong access/visibility. Utilities are straightforward: county water is available, electric is at the road, and septic will be required (no public sewer). Notice: This property will be conveyed by Special Warranty Deed (NOT General Warranty Deed). Additionally, title insurance/insurability may be limited for a period of time (reported as up to two years)--buyer to confirm with their closing attorney/title company during due diligence. Morven is a small Anson County town with deep Carolina roots and a quiet, close-knit feel--ideal for buyers who want space, privacy, and room to expand. Local conveniences are nearby in Wadesboro, and you're within a comfortable drive of larger job markets and amenities in Monroe and the Charlotte metro, plus regional hubs like Rockingham for additional shopping, dining, and services. From an economic standpoint, the broader Anson County region is supported by a mix of education, healthcare, manufacturing, and public-sector employers, helping drive steady demand and employment options. For families and outdoor lovers, this part of NC is all about lifestyle--room for trails, gardens, a workshop, hobby animals, and weekend gatherings--without giving up access to bigger-city opportunities. This is a rare chance to secure nearly 14 acres with strong frontage and level usability--come walk the land and see the potential for yourself. Buyer to verify acreage, utilities, zoning/use, permits, and all listing statements.

Last updated
March 14, 2026
MLS ID / MOPLS ID
100555165
Address

1103 Sandy Ridge Church
Morven, NC 28119

Acreage
13.85
MLS ID / MOPLS ID
100555165
Price
$75,000

Let us help you find your favorite place

Your Local Land Specialist