2889 Stoney Creek Church, Burlington, Alamance
2889 Stoney Creek Church
Burlington, NC 27217
United States

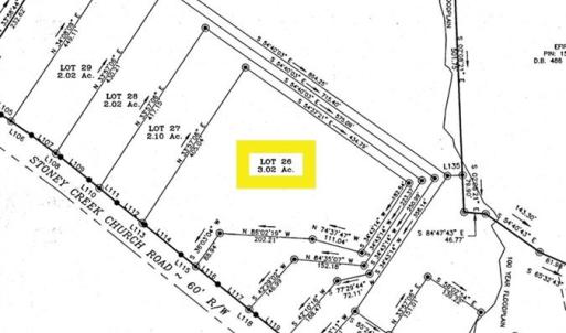
Discover the perfect canvas for your dream home on this beautiful 3+ acre build-to-suit lot on Stoney Creek Church Road in Western School district. Tucked into the peaceful countryside yet convenient to Burlington, Mebane, and I-40/85, this spacious property offers the privacy, flexibility, and room to breathe you've been searching for. 3 Brothers Building, a trusted local builder, will construct your custom 3-bedroom home tailored to your lifestyle. Bring your own plan—or choose from a collection of proven plans—and watch your vision come to life. With generous acreage and no HOA, you'll have plenty of space for outdoor living and enjoying the quiet rural surroundings. Don't miss this chance to create a home just for you! Contact us today to explore plans, pricing, and building options!
Copyright 2026 Triad MLS, Inc. All rights reserved. IDX information is provided exclusively for personal, non-commercial use, and may not be used for any purpose other than to identify prospective properties consumers may be interested in purchasing. Information is deemed reliable but not guaranteed. Properties marked with the Triad MLS, Inc. icon are provided courtesy of the Triad MLS, Inc.'s, Internet Data Exchange Database.
The listing broker's offer of compensation is made only to participants of the MLS where the listing is filed.
Sale data is for informational purposes only and is not an indication of a market analysis or appraisal. Data cannot be redistributed and cannot be used for any reason other than provided in the contract. Data last refreshed: April 29, 2026 - 5:30am