John Furr, Concord, Cabarrus
John Furr
Concord, NC 28025
United States

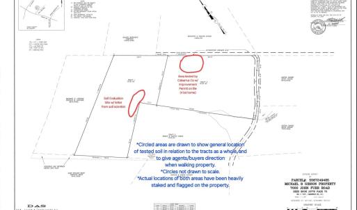
Is buying land in your 2025 plans? Here's 12.5 ACRES of WOODED property on a quiet back road between Concord and Mt Pleasant. VERY PRIVATE AND SECLUDED!! This beautiful land would be perfect for you to build your "forever home" amongst the trees. *RECENT SURVEYS already done by the seller! *Recent SOIL EVALUATION done by a soil scientist to show suitable soil! (letter attached) This property is ready for you-- just bring your house plans!! The acreage has both gently rolling hills and flat areas, so it's suitable for basement, crawlspace, and even slab construction home. A small driveway has been cut in, but access could be moved anywhere on the roughly 550 ft of road frontage on John Furr Rd. A small creek runs through the property and there is an abundance of wildlife. Be sure to check out the deer cam pictures! (Acreage for this listing is labeled on plat as TRACT 1)
Based on information submitted to the MLS GRID as of December 2, 2025 - 6:30am. All data is obtained from various sources and may not have been verified by broker or MLS GRID. Supplied Open House Information is subject to change without notice. All information should be independently reviewed and verified for accuracy. Properties may or may not be listed by the office/agent presenting the information.